West Durham Graded School No. 1

36.002997, -78.921616

Durham
NC
Cross Street
Year built
1898-1900
Year demolished
1922-1937
Construction type
Neighborhood
Use
Building Type
Can you help?
You don't need to know everything, but do you know the architect?
Log in or register and you can edit this.


(Courtesy Durham County Library / North Carolina Collection)

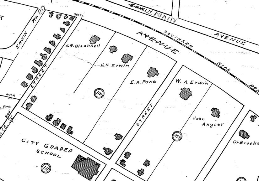
The West Durham Graded School No. 1 was built at the corner of Swift Avenue and Caswell Place between 1898 and 1900, resulting from the consolidation of Northside School, located north of the railroad tracks and Piney Grove School, located on Swift Avenue.


(Courtesy Duke Rare Book and Manuscript Collection. Scanned by Digital Durham)

The larger, masonry West Durham Graded School No. 2 would be established on 9th Street in 1915. The school was defunct soon after the opening of West Durham Graded School #2 in 1915. It was demolished by 1937, likely in the mid 1920s, by which time Southside School , built in 1922, had opened. The former school site was redeveloped as the Alastair apartment complex in the 1950s.


Looking west, 1950s.
(Courtesy The Herald-Sun Newspaper)


Former site of the school, looking southwest, 07.07.09

These apartments were demolished in 2013 to make way for higher density, higher-end apartments.

08.24.13 (G. Kueber)

02.16.14 (G. Kueber)

Comments

Notice how many kids don't have shoes, even though they seem to be wearing their "Sunday Best". No wonder ringworm was a huge problem in the early 1900's.

Also, do some of the kids look African-American? Or is it the quality of the photo? I didn't think Durham had integrated schools then.

I thought that myself Jon-but I think it was the photo quality. I dougbe that they were anywhere near integrated then. Notice on the left side how many tall teenage girls are present. There aren't that many teenage height boys that I can identify. I wonder what the dropout average grade was back then? 'It's time for you to shave....so that you can go to work!'

Seth

It would appear in the picture that the kids were segregated as to gender. I wonder if the classes were all boys and all girls then. A lot of churches were segregated by gender with separate doors on the front for male and for female.
David

Jon

WDGS #1 was a segregated white school; African-American children in the area would have attended the West End Graded School (Fitzgerald School), ~ 3 blocks to the east.

GK

The Old West Durham website has the graded school photo with the caption "West Durham Graded School in 1915 (stood where Vin Rouge and Ninth Street North are now located)";
http://www.owdna.org/History/history2.htm

Was there a graded school at the Vin Rouge location (9th and Hillsborough Road)?

Anon

If there was, it predated this school, as well as listings in the city directories. The 1913 Sanborn Maps show no building on that site. On the section of the black and white 1910 map in this post that covers that area, "West Durham Graded School" is written, but crossed out.

Jean Anderson notes that the school in this post was formed by the consolidation of "Northside School and Piney Grove school". The location of Northside is not clear, but it is possible that it was at the Vin Rouge location, but torn down when West Durham Graded School No. 1 was built to consolidate the schools. Still a mystery!

GK

Add new comment

Log in or register to post comments.