3912 Erwin Road

35.998266221154, -78.968943204866

3912
Durham
NC
Year built
c.1930
Construction type
Building Type
Can you help?
You don't need to know everything, but do you know the architect?
Log in or register and you can edit this.

 (N. Levy, 03.07.2019)

This house on the right side of Erwin Road as you go southwest between 751 and Cornwallis had caught my eye a couple of times before I pulled over recently to snap the picture above.  Efforts to crowd source information about the history of the property with a Find Out Friday posting on Open Durham social media - @opendurhamnc on Facebook and Instagram - have yet to turn up a lot of details (though many seem to share my curiosity and hope that longtime neighbors and now the house's owner, Duke School, will breathe new life into these old buildings).  Still, the results of a bit of digging through various digital resources warrants starting this page in hopes others can add to it.

County tax records date the house to 1930.  Deed references suggest this property was for many years in possession of the Pendergrass / Pendergraph family - which lines up with older maps that show this name for nearby landholders.

 (Excerpt of Durham County map, c.1910s)

See the name E. C. Pendergrass crossing to the east of the creek line, in between lands owned by J. A. Tilman - whose adjacent property is also referenced in deeds.  Not very well labeled here, the Whites Cross Road School would have been just to the west across Mud Creek near the present-day intersection of Erwin and Cornwallis at the time of this house's construction.

The 1940 aerial photo below shows the cluster of buildings at the site on the plot shaped like a right triangle at the center.

 (Cropped from USDA Historical Aerial Photo, 1940 Durham County Series, Image 4B-205.  Available online at UNC Libraries - GIS Services)

The faint line of Mud Creek can be seen at the western edge of the clearing, crossing what was generally called (and is still commonly known as) Old Erwin Road.  The larger plot to the northeast is now the Duke School campus.  Erwin and Cornwallis intersect at the bottom left, and what is now the traffic circle at 751 and Erwin is at the top right.  The road branching off below there - now the access road to the Duke Lemur Center - was known as Rigsbee Road.  The map below from the late 1940s shows the former street configuration.

 (excerpt of 1948 Durham County Base Map, available online at Digital Durham)

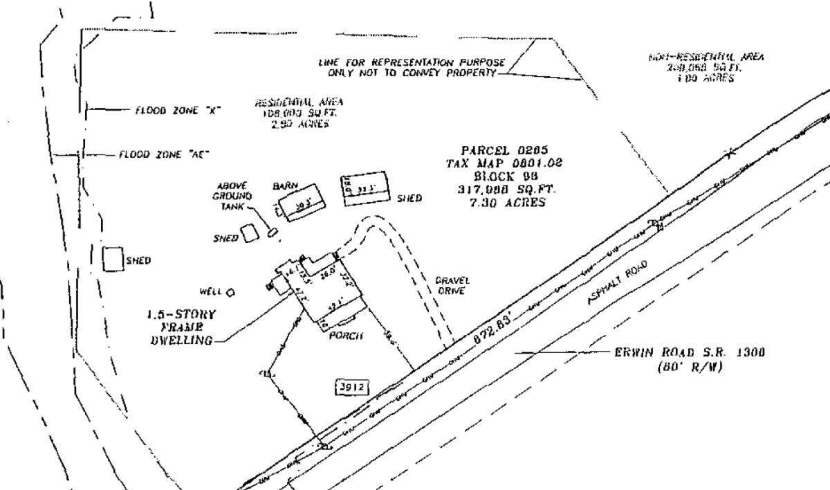
Little else about this house turns up in the public record until it switched hands in more recent years.  A property survey produced in 2008 gives a sense of how the outbuildings are arranged on the land.

 (Durham County Register of Deeds)

Judging from the Google Street View timeline, the house appears to have been occupied as recently as summer 2012, but had its windows boarded up by August 2014.

The wooden gate across the driveway appears to have been added in 2016-17, before Duke School purchased the property in 2018.  As of March 2019, at least the barn and the shed indicated on the 2008 survey still seem to be in place.

 (N. Levy, 03.07.2019)

Comments

This was the home of Eddie Clevland Pendergraph (misspelled often as Pendergrass). The other Pendergraph's on the map are siblings. Most are buried at near by Mt Moriah Baptist Church cemetary. Eddie died in 1939 and I assume he left it to a son. All are distant relitives of my clan from Rougemont.

Add new comment

Log in or register to post comments.